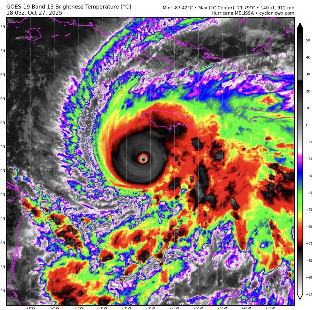
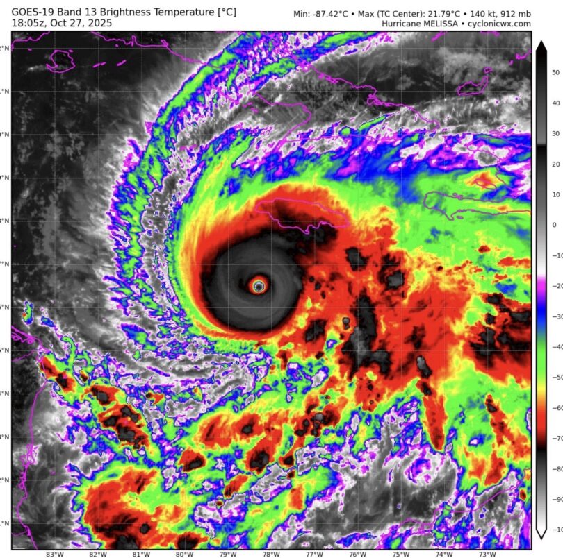
Američki Nacionalni centar za uragane upozorava da je reč o ekstremno opasnom sistemu čije sporo kretanje povećava rizik od razarajućih poplava i klizišta. Procene meteorologa ukazuju da bi u naredna četiri dana na Jamajci moglo pasti i do jedan metar kiše, što bi dovelo do katastrofalnih posledica po infrastrukturu i stanovništvo.

CEO VIDEO POGLEDAJTE KLIKOM OVDE
Premijer Endru Holnes naredio je hitnu evakuaciju pojedinih naseljenih područja, naročito u glavnom gradu Kingstonu i u nizijama.
„Pripremite se, ostanite u domovima i poštujte naloge o evakuaciji. Prebrodićemo ovo i izgradićemo jaču Jamajku”, rekao je Holnes.
CEO VIDEO POGLEDAJTE KLIKOM OVDE
Uragan je već pogodio Haiti i Dominikansku Republiku, gde je najmanje četvoro ljudi izgubilo život, dok su stotine domova poplavljene. Nakon Jamajke, očekuje se da Melisa pogodi jug Kube u utorak uveče, a zatim da nastavi prema Bahamima.
Lokalne vlasti pozvale su građane da ostanu mirni, prate zvanična saopštenja i preduzmu sve mere zaštite kako bi se umanjile posledice nadolazeće oluje.
CEO VIDEO POGLEDAJTE KLIKOM OVDE
ZA JOŠ VESTI IZ CRNE HRONIKE KLIKNITE OVDE
RIKOŠET DOJAVA SA LICA MESTA
Vaš materijal može postati deo naše priče i pomoći nam da pravovremeno i tačno izveštavamo.

Rikošet dojava sa lica mesta
Budite naši oči i uši na terenu — zajedno pravimo verodostojne vesti!
Hvala vam na poverenju!
DETALJNIJE NA PORTALU RIKOŠET!

RIKOŠET
Budite uvek informisani
Pratite najnovije vesti iz Rikošet-a. Rikošet nezavisni internet portal. Vesti bez cenzure.
Pratimo se i na društvenim mrežama gde nam možete slati materijale sa lica mesta.
Strogo je zabranjeno preuzimanje teksta u celosti ili njegovih delova bez navođenja i linkovanja izvora Rikoset.rs
Čitajte portal Rikoset.com, najbrži portal u Srbiji i regionu sa najvećim rastućim rezultatima i ekskluzivnim vestima. Zapratite nas i na Instagramu, Facebook, Threads!
Sve najnovije i najbrže vesti iz rubrike crne hronike, sveta pratite jednim klikom.
Rikoset.rs//M.A/N.A


Dodaj komentar